Nicht Arnikastraße, sondern Arnikastraße - Nicht Veilchenring, sondern Veilchenring
![Vohenstrauß. Das wäre zu einfach gewesen: Im Paket die vier Straßennamen für das neue Baugebiet “Sommerwiesen” zu beschließen, auf die sich die Fraktionssprecher verständigt hatten. Die Mehrheit des Stadtrates wollte […]](https://oberpfalzecho.de/cache/images/IMG_5733-1100.jpeg)
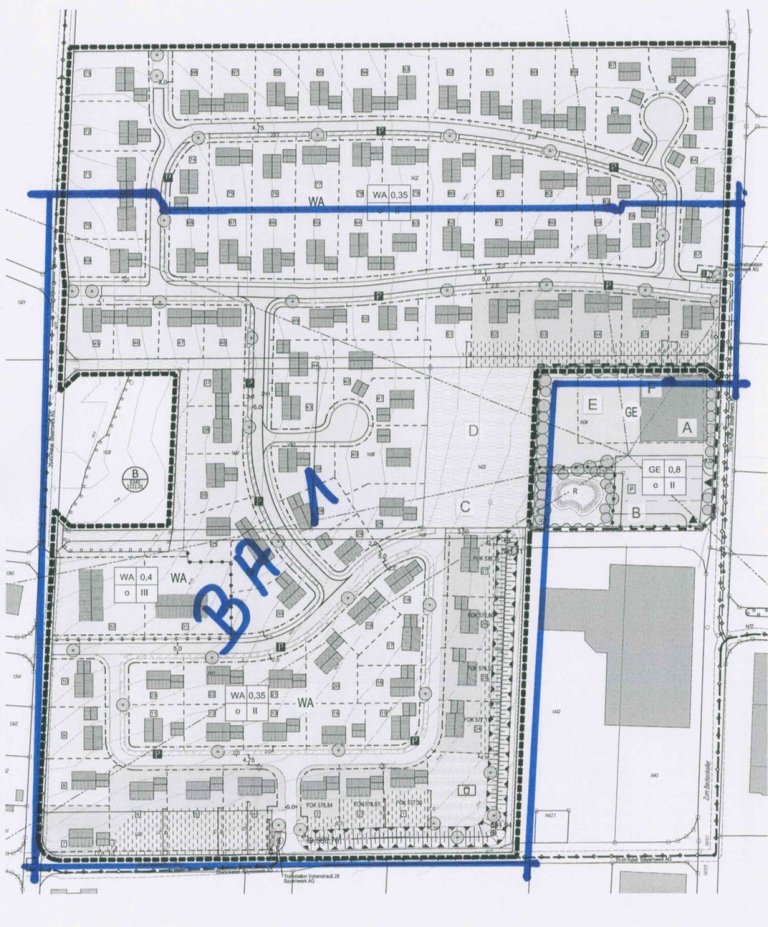
Nicht Arnikastraße, sondern Arnikastraße - Nicht Veilchenring, sondern Veilchenring
Vohenstrauß. Das wäre zu einfach gewesen: Im Paket die vier Straßennamen für das neue Baugebiet “Sommerwiesen” zu beschließen, auf die sich die Fraktionssprecher verständigt hatten. Die Mehrheit des Stadtrates wollte lieber einzeln über jeden Namensvorschlag abstimmen, um nach allerlei Handaufheben feststellen zu müssen, dass die vier Namen aus dem Paket doch die beliebtesten waren.
Von Gabi Eichl
Das neue Baugebiet “Sommerwiesen” wird über vier Straßen erschlossen. Zum Namen des Baugebietes passend hatte die Verwaltung eine Reihe von Blumennamen vorgeschlagen. Und dass es Blumen sein sollten, war auch unstrittig. Nur Dr. Volker Wappmann (FDP/UW) machte sich erneut für die Namen historischer Persönlichkeiten stark, unter anderem für den des ehemaligen Bürgermeisters Riebel und des Arztes Johann Nepomuk Ringseis.
Bürgermeister Uli Münchmeier wollte über jeden Namen einzeln abstimmen lassen, der FW-Fraktionssprecher Martin Gleixner fuhr dieser Vorgehensweise jedoch mit einem Antrag zur Geschäftsordnung in die Parade, demzufolge nur über die vier Namen im Paket abgestimmt werden sollte, auf die sich die Fraktionssprecher geeinigt hatten. Die vier Namen waren: Veilchenring, Narzissenstraße, Kornblumenstraße und Arnikastraße. Das seien die griffigsten Namen und die einfachste Vorgehensweise. Das sahen außer Gleixner acht weitere Stadträte quer durch die Fraktionen so, elf jedoch nicht.
“Ich muss auch aufpassen”
Und so begann ein Abstimmen über Klatschmohn- und Irisstraße, über Gänseblümchen- und Löwenzahnstraße. Dr. Heinrich Gref (SPD), ein Befürworter des Paketes, stimmte gar nicht mehr mit: “Das ist mir zu blöd.” Gleixner wollte nicht mehr aufpassen, was ihm einen Rüffel von Münchmeier eintrug:
Das kann man ja wohl verlangen, ich muss auch aufpassen.
Es kam zu einer Verwirrung, weil in der grafischen Darstellung der Sitzungsvorlage die Straßennamen von unten nach oben nummeriert waren, woraufhin Münchmeier die Farben ansagte. Anna Wutzlhofer (CSU) schlug eine Asternstraße vor, korrigierte sich dann aber, Asternweg gefalle ihr besser. Was Gref mit dem Vorschlag einer “Astern-Weg-Straße” quittierte. Hans Gösl (FDP/UW) brachte eine Zedernstraße ins Spiel wegen der Zedern auf der nahen Platte. Zedern seien aber keine Blumen, wurde ihm entgegengehalten. In viel Kopfschütteln und Gelächter hinein mahnte Willi Woldrich (CSU) die Kollegen: “Wir sind noch im öffentlichen Sitzungsteil!”
Veilchenring, Narzissenstraße, Kornblumenstraße und Arnikastraße
Die meisten Stimmen bekamen am Ende der Veilchenring, die Narzissenstraße, die Kornblumenstraße und die Arnikastraße. Die vier Straßen, die auch den Fraktionssprechern am besten gefallen hatten.
Die Erschließungsbeiträge werden durch die Bildung einer Erschließungseinheit pauschal erhoben, das heißt, der Erschließungsaufwand wird geschätzt und sofort abgerechnet, nicht erst dann, wenn die Erschließung abgeschlossen ist. Dadurch wissen die Bauherren gleich, was sie zu zahlen haben, und die Stadt erhält die Beiträge schneller. Eine Win-win-Lösung, die sich laut Kämmerer Rainer Dötsch bereits im Baugebiet “In der Leiten” bewährt hat.




